【六義園】タマアジサイが咲き始めました!
2023-07-11 09:00



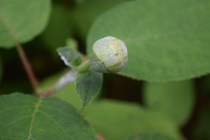
タマアジサイが開花しました。球形のつぼみが特徴の系統で、和名と学名の由来にもなっています。遅咲きの系統で、ほかのアジサイが咲いている頃には大きく玉のようなつぼみを楽しむことができます。その玉のようなつぼみがほころび、白くて可憐な花を咲かせ始めています。休憩所兼売店の裏手にてご覧いただけます。つつじ茶屋や滝見茶屋などの日陰で休憩しながら園内散策をお楽しみください。
※虫除け・熱中症対策をしてご来園くださいませ。


お問い合わせ先
六義園サービスセンター
TEL:03-3941-2222
六義園について

国指定特別名勝。五代将軍徳川綱吉の寵臣・柳澤吉保によって造られた和歌の趣味を基調とした回遊式築山泉水庭園です。江戸時代に造られた大名庭園の中でも代表的なもので、明治期には三菱の創業者である岩崎彌太郎の別邸となりました。庭園は万葉集や古今和歌集に詠まれた紀州(現在の和歌山県)の景勝地「和歌の浦」の景色をはじめ、その周辺の景勝地や中国の故事に因んだ景観が映し出されています。
〇開園時間
午前9時~午後5時
(入園は午後4時30分まで)
〇休園日
年末・年始
(12月29日~翌年1月1日まで)
〇入園料
一般 300円
65歳以上 150円
(小学生以下及び都内在住・在学の中学生は無料)
〇アクセス
JR山手線「駒込」(南口)下車 徒歩7分
東京メトロ南北線「駒込」(N14)下車 徒歩7分
都営地下鉄三田線「千石」(I14)下車 徒歩10分
※駐車場はございません。
〇お問合わせ
六義園サービスセンター
〒113-0021
東京都文京区本駒込6-16-3
TEL:03-3941-2222



画像・ファイル一覧










